Local Government
County Planning Commission Blesses New Church Zoning Permit, Short-Term Tourist Rentals, Previews Montessori School Proposal
The Warren County Planning Commission met Wednesday, March 13, at the Warren County Government Center. South River District Commissioner Kaylee Richardson was absent.
There were no speakers for the public presentations, and the Commission moved into the four public hearings on the agenda.
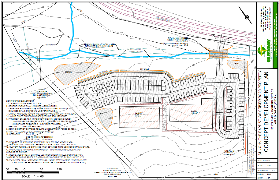
The Catholic Diocese of Arlington has submitted a conditional use permit (CUP) request for a church on Criser Road at the intersection of Criser Road and Luray Avenue just outside the town limits. The 8.47-acre property is zoned Agricultural (A) and is in the South River District. The Diocese intends to build a 10,690 square-foot sanctuary to accommodate up to 600 attendees and a 10,500 square-foot auxiliary support structure to accommodate 151 parking spaces on the property pending approval of the permit. The property would be accessible from West Criser Road. While part of the property lies within 100-year and 500-year flood hazard areas, the conceptual development plan provided by the applicant shows the structures, parking, and access point all are outside the floodplain areas. The plan shows that the property would be served by the Town of Front Royal Public Utilities, however the applicant indicates that they are prepared to provide their own water and sewer onsite should the Town disapprove an out-of-town connection.

Conceptual site plan for a new Church on Criser Road submitted by the Catholic Diocese of Arlington to the Warren County Planning Commission. The diocese is seeking a conditional use permit for the property, which is currently zoned Agricultural. The commission voted unanimously to recommend approval. Royal Examiner Photos Stephen Sill
Martha Whitacre of Greenway Engineering, representing the Applicants, told the Commission that the Front Royal Town Council is currently considering their request for utility connections, and that decision is expected at the next Council meeting.
There was only one speaker at the public hearing, Israel Brooks, who wanted more information about the plan for access and traffic, given that West Criser Road is a heavily traveled roadway. Chairman Robert Myers responded that more information will be provided as the project moves through the approval process. The conceptual site plan above shows the planned location and orientation of the buildings and access point relative to the surrounding streets with the flood hazard areas outlined.
During a brief discussion after the public hearing, the commissioners agreed that this was a “good fit” for the property. Commissioner William Gordon observed that it would be good if the way were left open for curbs and gutters to be installed along Criser Road. “It would be a nice-to-have”, he said. Part of Criser Road is a boundary between the town and county, with the north side of it in the town limits, and the south side in the county. County Attorney Jordan Bowman recommended that curb and gutter not be made a condition of approval, since it is not related to the church, but more as an overall planning feature for the town.
On a motion by Vice-Chairman Hugh Henry, seconded by Commissioner Scott Kersjes, the commission voted unanimously to recommend approval.
David Kamminga (Hill of Beans, Inc.) has submitted a request for a CUP for a Short-Term Tourist Rental for his property at 331 Pomeroy Road. The property is zoned Agricultural (A) in the Harmony Hollow subdivision and the South River Magisterial District. Zoning Administrator Chase Lenz told the commission that the property owner has submitted a property management plan, and the property meets the County’s setback requirement.
The applicant told the Commission that he and his wife planned to live on the property permanently, but she received military orders to Florida, and they determined a short-term rental was the best way to maintain the property during that military assignment period. There were five speakers at the public hearing. All were opposed to the short-term rental.
Kathy Russell opposed the permit and objected to “large groups of people traipsing through my driveway” from the spur access to the adjoining Shenandoah National Park.
Glenn Hickerson objected to increased traffic by unfamiliar drivers. He told the commission, “This is probably the worst section of Pomeroy Road”, citing blind curves and even narrower conditions during leaf season.

Local resident Glenn Hickerson addresses the Warren County Planning Commission to oppose the granting of a Short-Term Rental Conditional Use Permit for a property in Harmony Hollow, citing safety concerns with the small roadway. The Commission eventually unanimously voted to recommend approval.
Waller Wilson was concerned that the short-term rental will adversely affect the value of the property that he occupies adjoining the applicants.
Marilyn Boesch cited several parts of her 30-year old restrictive covenant that she asserted the property violated and complained that the owner had “clear-cut” portions of his land. She also asserted that a “title attorney” had not reviewed the sale of the land and that a “Geodesic Dome” now on the property might be too close to the property line. Her husband Harold Boesch also spoke in opposition to the permit. The County Planning Staff report states that the existing structure, which is fully code compliant, is 290-feet from the nearest dwelling and the county supplemental requirements for short-term tourist rental setbacks are for a minimum of 100 feet.
After the public hearing, the applicant, David Kamminga, responded to the public comments by stating that he was surprised by the response. He stated he had not had any input from any nearby property owners prior to the meeting, and that he had worked with the Planning Department and all inspectors to make sure everything was done correctly. He had not clear-cut, and the house that had been on the property had burned and was replaced. “I feel like I’ve done everything by the book,” he said. “I don’t know what else I can say or do. If I can’t do this, I guess I’ll have to put a long-term renter in there.”
Chairman Myers reminded the audience that Virginia Law considers short-term rentals as a residential, not a commercial, activity. “Whether you agree with it or not, it’s the law.”
Vice-Chairman Henry observed that the County has had good luck with short-term rentals and despite what nearby residents fear, there is actually a reduction in traffic, and an increased level of regulatory control for short-term rentals as opposed to long-term ones, which are unregulated. Conditional Use Permits are just that, and they can be rescinded if there are operational violations by the property owner or tenants. Commissioner Scott Kersjes also commented that short-term rental guests are vetted so operators can exclude tenants that have negative ratings from other operators. This is a capability that long-term rental property owners may not have.
Planning Director Matt Wendling also acknowledged the comments by one of the speakers about the rural road conditions and recommended that the applicant include cautionary notes about the rural road conditions in the rental packet and the management plan to urge guests to exercise caution and observe the speed limits.
After some further discussion, on a motion by Vice-Chairman Henry, seconded by Commissioner Kersjes, the Commission voted unanimously to recommend approval.
Michael and Jean Adair have requested a CUP for a short-term tourist rental for their property at 327 Twin Oaks Drive in the Thomas Sawner Subdivision and the South River District. The property is zoned Agricultural (A). Zoning Administrator Chase Lenz briefed the commission on the application. The subdivision adjoins the River Oaks Subdivision where there are already three CUPs active for short-term tourist rentals. There are a maximum of eight occupants permitted for a four-bedroom dwelling. The applicant submitted a letter of support from the Homeowners Association, and the property meets the County’s setback requirements, the nearest residence being 430 feet away.
There were no speakers at the public hearing. Then with no further discussion, the commission, on a motion by Vice-Chairman Henry, and seconded by Commissioner Gordon, voted unanimously to recommend approval.
Kayla James (2207 Mary’s Shady Lane LLC) has submitted a request for a CUP for short-term tourist rental for a property at 2207 Mary’s Shady Lane in the Leadman Subdivision in the Shenandoah District. The property is zoned Residential (R-1). Zoning Administrator Lenz told the Commission that the applicant has two other short-term tourist rentals in the county and will manage the property personally. The property meets the county’s setback requirements with the nearest dwelling 430 feet away.
At the public hearing, there was one speaker. Casey Leach acknowledged the benefits in tax revenue that short-term tourist rentals bring to the county. He was concerned about the road access to the subdivision and hence to the property being a private road, not a public one. Mr. Leach was concerned about the uncontrolled nature of access to the property, the growing drug presence in the subdivision, and the off-road vehicles that ride through the area. After the close of the public hearing, there followed a lively discussion about the history and complexity of Marys Shady Lane, being partly in the town and partly in the county. Vice-Chairman Henry observed that it is a matter for the Sheriff’s Department to sort out, aside from the permitting for the short-term rental.
On a motion by Vice-Chairman Henry, seconded by Commissioner Kersjes, the Commission voted unanimously to recommend approval of the CUP.
All the recommendations of the commission will now go to the Warren County Board of Supervisors for final action.
Montessori school proposal for Bowling Green South land
In its “New Business,” the commission reviewed a project preview for a CUP being submitted by John Paul the Great Montessori Academy on the site of a portion of the former Bowling Green South Golf course, which ceased operations in 2023, the year it was purchased by adjacent Shenandoah Valley Golf Club owner Richard Runyon. The Academy was established in 2020, and currently operates in town, with 141 students, 20 full-time, and 18 part-time employees. Planning Director Wendling told the commission that the Academy proposes that the facility should have outdoor space for recess, sports and athletics, recreation, and development of occupations relating to livestock, husbandry, farming, and gardening. The academy does not propose to build new structures but will utilize the existing facilities. The use is compatible with the County’s Comprehensive Plan but does require a CUP. The majority of the 20-acre plot would be kept as open space. Preservation of the rural character of the county is a key part of the Academy’s mission, according to Noel Sweeney, who represents the Academy in addressing the commission.

Noel Sweeney, representing John Paul the Great Montessori Academy, previews the plan for a portion of the former Bowling Green South golf course, now belonging to SVGC owner Richard Runyon, as a Catholic Montessori School. The Commission will hold a public hearing on the proposed Conditional Use Permit on April 10. Below is the existing structure the school plans to utilize without requiring additional building construction.

At this time, there are no plans to do any development of the property, aside from “utilizing certain portions of the existing golf course for two sports fields and expanding the parking area to accommodate an additional 50 cars.” The student population will not exceed 200, the applicant said. Calculations provided by the applicant indicate that traffic to and from the site should be reduced by half from what it was as an active golf course. Mr. Sweeney stressed that the Academy has engaged local residents in dialog regarding the planned use and will continue to do so. Sports events will be daylight only, and no additional lighting is planned. Planning Director Wendling said that the planning department had received about 39 letters in support of the Academy’s relocation and none against it so far. The commission plans to hold a public hearing on April 10th for the project.
The Commission’s Consent Agenda consisted of:
Joel Didriksen – A request for a conditional use permit for a Short-Term Tourist Rental at 3017 Blue Mountain Road in the Blue Mountain subdivision. The property is zoned Residential-One (R-1) in the Shenandoah Magisterial District.
Jennifer Wynn – A request for a conditional use permit for a Short-Term Tourist Rental at 703 Sunset Village Road. The property is zoned Residential-One (R-1) in the Junewood Estates subdivision and the Fork Magisterial District.
Jack Donohue – A request for a conditional use permit for a Contactor Storage Yard. The Industrial (I) zoned property is located at (0) Winners Court in the Walker-Brugh subdivision and the North River Magisterial District.
The commission voted unanimously to authorize advertisement for public hearings at the April 10 Meeting.
Click here to watch the Warren County Planning Commission meeting of March 13, 2024.
